Cyklon tropikalny


Cyklon tropikalny – przemieszczające się nad oceanami najintensywniejsze energetycznie zjawisko cechujące atmosferę, związane z układem niskiego ciśnienia, w którym nie występują fronty atmosferyczne.
Cyklon tropikalny rozwija się nad ciepłymi wodami i odznacza się cyrkulacją cykloniczną (tj. o kierunku przeciwnym do ruchu wskazówek zegara na półkuli północnej i kierunku zgodnym z tym ruchem na półkuli południowej) w dolnych warstwach atmosfery oraz silnie rozwiniętą aktywnością burzową. Cyklon tropikalny o maksymalnej prędkości wiatru przy powierzchni Ziemi nie przekraczającej 17 m/s nazywa się depresją tropikalną, o większej prędkości wiatru, ale nie przekraczającej 33 m/s – sztormem tropikalnym, o prędkości przekraczającej 33 m/s – huraganem (na Atlantyku i wschodnim Pacyfiku), tajfunem (na północno-zachodnim Pacyfiku), silnym cyklonem tropikalnym (na południowo-zachodnim Pacyfiku i południowo-wschodnim Oceanie Indyjskim), silnym sztormem cyklonicznym (w północnej części Oceanu Indyjskiego) bądź wreszcie cyklonem tropikalnym (w południowo-zachodniej części Oceanu Indyjskiego).
Warunki powstawania cyklonów
Aby mógł powstać cyklon tropikalny, powinny być jednocześnie spełnione następujące warunki:
- temperatura wody w warstwie powierzchniowej oceanu grubości co najmniej 50 m powinna przekraczać 26,5 °C. Ocean stanowi wtedy dostatecznie pojemny dla rozwoju cyklonu zbiornik energii. Po utworzeniu się chmur, powietrze ogrzewane jest i nawilżane przez ciepłą wodę oceanu. Uważa się, że gdyby temperatura oceanu osiągnęła 40–50 °C (obecny rekord to 35 °C) mogłoby dojść do powstania hiperkanu, gdzie prędkość wiatru mogłaby dochodzić do 600–800 km/h[1];
- rozkład temperatury i wilgotności w atmosferze powinien być odpowiedni dla rozwoju intensywnych, wypiętrzonych chmur burzowych (tzw. atmosfera potencjalnie niestabilna, duże ilości ciepłego powietrza znajdują się nisko). Rozwija się wówczas głęboka (przez całą grubość troposfery) konwekcja, która może „rozkręcić” cały układ;
- odległość od równika powinna wynosić co najmniej 500 km. Na równiku pozioma składowa siły Coriolisa jest mała, dalej od równika unoszenie i opadanie wywołuje wirowanie układu;
- zmienność prędkości wiatru z wysokością w całej troposferze powinna być niewielka. Pozwala to na „zorganizowanie się” chmur konwekcyjnych w układ cykloniczny.

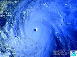
Gdy warunki te są spełnione i nad oceanem pojawi się słaby niż lub nawet zafalowanie pola ciśnienia (izobar), mogą się one rozwinąć w cyklon tropikalny według następującego scenariusza. W bliskim sąsiedztwie zmiany pola ciśnienia rozwija się kilka głębokich, burzowych chmur konwekcyjnych „zasysających” ciepłe i wilgotne powietrze znad oceanu. Pod nimi tworzy się obszar ciśnienia niższego niż w otoczeniu. Pod kompleks chmur napływa z otoczenia coraz więcej wilgotnego i ciepłego powietrza, które zaczyna się poruszać po spirali pod wpływem działania siły Coriolisa. Ten etap nazywa się mezoskalowym systemem konwekcyjnym. Ruchy konwekcyjne intensyfikowane są przez lżejsze, bo ciepłe i wilgotne powietrze znad oceanu, ruchy te następnie organizują się, tworząc układ wirujących chmur. Siła odśrodkowa działająca na ciężkie, bo ochłodzone i zawierające skroploną wodę powietrze sprawia, że w centrum układu powstaje najniższe ciśnienie i dzięki temu układ rozpędza się dalej. W tym momencie powstaje już cyklon tropikalny. Jego dalszy rozwój i ewentualne przekształcenie się w huragan zależą od ilości dostarczonej energii na trasie układu. Gdy wirowanie jest dostatecznie intensywne, a cyklon ma grubość całej troposfery, przyziemna warstwa nie nadąża z dostarczaniem powietrza do centrum, powietrze zaczyna napływać też górą, w środku układu wytwarza się tzw. oko cyklonu – bezchmurny obszar ze stosunkowo słabymi wiatrami i silnymi ruchami zstępującymi. Dostarczenie zimnego powietrza do centrum cyklonu przyspiesza kondensację wody, napędzając jeszcze bardziej cyklon. Po przemieszczeniu nad chłodniejsze wody bądź ląd, gdzie układ nie znajduje się i nie otrzymuje dostatecznej ilości energii, cyklon tropikalny słabnie i zanika.
Cyklony tropikalne najczęściej rozwijają się na przełomie lata i jesieni, co jest związane z najwyższą temperaturą powierzchni wód w tym okresie. Na przykład na Atlantyku 96% huraganów o sile wiatru przekraczającej 50 m/s pojawia się między sierpniem a październikiem. Wyjątkiem jest północna część Oceanu Indyjskiego, gdzie występują dwa maksima częstości występowania silnych sztormów cyklonicznych: w maju i listopadzie. Na ogół cyklony tropikalne przesuwają się ze wschodu na zachód, czasami po kilku lub kilkunastu dniach istnienia skręcają w kierunku biegunów. Mogą wtedy przekształcić się w tzw. niże podzwrotnikowe, a nawet w niże średnich szerokości geograficznych. W początkowej fazie przekształcania w cyklonie po zachodniej stronie układu powstaje szczególnie silnie wykształcony front ciepły. Z północnego zachodu niż stopniowo zasysa chłodniejsze powietrze szerokości umiarkowanych i zmienia kierunek przemieszczania – teraz rozpoczyna wędrówkę na północny wschód.
Pogoda w cyklonie tropikalnym
Wyróżnić można pięć stref pogodowych, z których jedna oznaczona jako zerowa znajduje się na zewnątrz cyklonu tropikalnego, choć pogoda w niej kształtuje się pod wpływem bliskiego istnienia cyklonu, pozostałe strefy oznaczone jako 1, 2, 3 i 4 znajdują się w cyklonie. We wszystkich tych strefach warunki pogodowe zmieniają się stopniowo w kierunku centrum cyklonu tropikalnego. Strefy te są bardzo istotne z punktu widzenia nawigacji morskiej, a w szczególności wykonywania manewrów w celu uniknięcia cyklonu.
- Strefa 0
- Jest to strefa położona na zewnątrz cyklonu tropikalnego. W strefie tej pogoda na ogół wyraźnie różni się od pogody, jaka występowałaby w tym rejonie (pasatu lub monsunu), gdyby nie zaznaczyła się bliskość cyklonu. Różnica ta polega głównie na odmienności kształtowania się wiatru i zachmurzenia. Ogólnie można stwierdzić, że w tej strefie pogoda się polepsza. Zachmurzenie wyraźnie się zmniejsza do 1–2 lub też niebo pozostaje bezchmurne. Widzialność pozioma się polepsza, często osiągając wartość równą 9 (doskonała, niezwykle dobra) w morskiej skali widzialności. Wiatry na ogół słabną i zmieniają kierunek w stosunku do kierunku wiatru panującego w danym akwenie w danym sezonie lub też zanikają całkowicie i panują cisze. Ciśnienie atmosferyczne zazwyczaj nieznacznie wzrasta. Morze jest spokojne lub też występuje długa, łagodna, niemal symetryczna względem grzbietów fala, nadchodząca często z kierunku zasadniczo odmiennego od kierunków wiatrów panujących (przeważających) w danym sezonie.
- Strefa 1
- Strefa peryferyczna cyklonu (wiatrów słabszych od sztormowych). W tej strefie ciśnienie atmosferyczne wyraźnie, choć początkowo jeszcze powoli spada. Pojawia się wyraźny wiatr o kierunku najczęściej odmiennym od kierunku przeważających wiatrów, stopniowo rosnący. Na nieboskłonie całkowicie pokrytym chmurami wysokimi (najczęściej Cirrostratus) pojawiają się chmury Cumulus (Cumulus mediocris i Cumulus congestus), które przemieszczają się bardzo słabo. Od czasu do czasu przechodzą krótkotrwałe opady przelotne, którym z reguły towarzyszą szkwały. Obok wyraźnie formującej się fali wiatrowej na morzu, jest z reguły widoczna spora fala martwa. Mimo wzrostu prędkości wiatru odczuwa się gorąco i duszność. Wraz z upływem czasu (w środku strefy) ciśnienie zaczyna spadać szybciej, wiatr tężeje. Zachmurzenie w piętrze niskim wzrasta do całkowitego, barwa nieba jest niejednolita, zaczynają się na niebie jaśniejsze i ciemniejsze smugi (Stratocumulus), pod głównym poziomem chmur występują pędzące z wiatrem ciemne poszarpane fragmenty chmur (Cumulus fractus). Częstość występowania opadów przelotnych wzrasta, rośnie również porywistość wiatru. Szybko rośnie fala wiatrowa.
- Strefa 2
- Strefa środkowa cyklonu (wiatrów sztormowych). Ciśnienie atmosferyczne zaczyna gwałtownie spadać. Wiatr osiąga siłę wiatru sztormowego (8 °B) i rośnie nadal. Niebo jest całkowicie zachmurzone, bardzo ciemne. Deszcze przechodzą w ulewy, często o bardzo wielkim natężeniu, zmniejszając znacznie widzialność. Występują gwałtowne wyładowania atmosferyczne. Fala wiatrowa szybko rośnie, silnie się załamując. Morze szybko pokrywa się pianą, nawet w strefach bez opadów, widzialność się zmniejsza, słychać huk morza i wycie wiatru.
- Strefa 3
- Strefa centralna cyklonu (wiatrów huraganowych). Wiatr osiągnął siłę huraganu, przy czym jego prędkość nie jest stała na tle jednostajnego huraganowego wiatru odczuwa się jeszcze jego porywy (12 °B lub więcej). Niebo jest granatowe lub ołowiano-szare (jeśli jeszcze je widać), panuje mrok. Widzialność jest bardzo ograniczona. W powietrzu poziomo leci wraz z wiatrem woda i płyta piany, nie można odróżnić, czy to woda z opadów, czy z morza. Fale, bardzo wysokie i załamujące się, wykazują silną asymetrię, przy czym mają łagodne wierzchołki, jak gdyby „przyduszone” przez wiatr.
- Strefa 4
- Strefa oka cyklonu. Panują tu słabe wiatry (do 10 w.) lub cisza. Jest ciepło. Obserwuje się zachmurzenie całkowite (Stratus) lub niebo pokryte chmurami wysokimi (Cirrus, Cirrocumulus), pomiędzy którymi widać błękit nieba. Widzialność jest dobra do umiarkowanej (6–7), niekiedy słaba (5). Na powierzchni morza występują wielkie, słoneczne góry wodne, chaotycznie wznoszące się i opadające w całkowitej ciszy. Ciśnienie atmosferyczne jest bardzo niskie, spadek ciśnienia zatrzymuje się, choć ciśnienie wykazuje występowanie nieregularnych zmian w granicach pierwszych kilku hPa.
Zagrożenia
Wiatr

Cyklony tropikalne mogą powodować katastrofalne zniszczenia. Pierwszym oczywistym niszczycielskim czynnikiem jest wiatr. W najsilniejszych huraganach jego rekordowa prędkość, szacowana na podstawie ciśnienia w centrum (wiatromierze nie wytrzymują takich warunków), przekracza 85 m/s (305 km/h). Najsilniejsze wiatry wieją na ogół w połówkach cyklonów bardziej oddalonych od równika, gdyż do prędkości związanej z cyrkulacją cykloniczną dodaje się tam prędkość przemieszczania samego układu.
Opad
Drugim czynnikiem zniszczeń jest opad. W chmurach cyklonów tropikalnych, zasilanych ciepłym i wilgotnym powietrzem, kondensują ogromne ilości wody i spora jej część wypada z chmur w postaci deszczu. Rekordowe opady obserwowano w cyklonach tropikalnych na Reunion na Oceanie Indyjskim, np. cyklon Denise w nocy z 7 na 8 grudnia 1966 r. przyniósł 1144 mm opadu w ciągu 12 godzin i 1825 mm w ciągu 24 godzin. W styczniu 1980 r. cyklon Hiacinthe przyniósł tam 3240 mm opadu w ciągu 3 dni i 5678 mm w ciągu 10 dni. Dla porównania maksymalna zarejestrowana ilość opadu, która wywołała katastrofalną powódź w Polsce w lipcu 1997 r., wyniosła w Kamienicy Kłodzkiej ok. 455 mm w ciągu 3 dni.
Fala przypływowa
Trzecim czynnikiem (powodującym głównie zniszczenia obszarów nadbrzeżnych) jest fala przypływowa spowodowana wiatrem oraz niskim ciśnieniem w centrum cyklonu. Wysokość fali może przekraczać 6 m; powoduje ona zatopienie niżej położonych obszarów.
Skala intensywności
Amerykanie wprowadzili skalę intensywności huraganów, tzw. skalę Saffira-Simpsona. Podobną skalę wprowadziły australijskie służby meteorologiczne.
Zmiany klimatu
Zmiany klimatu wpływają na intensywność i liczbę cyklonów tropikalnych. Podejrzewa się, że obecny wzrost średniej temperatury powietrza, a w konsekwencji poziomu wody, może zwiększyć liczbę, intensywność, a także długość trwania huraganów[2].
Straty

Najbardziej katastrofalnym cyklonem tropikalnym w udokumentowanej historii był cyklon Bhola, który w 1970 spustoszył Bangladesz. Nie ma dokładnych danych dotyczących liczby ofiar, ale ostrożne szacunki podają liczbę co najmniej 300 tys. zabitych, głównie w wyniku zalania nisko położonych terenów przez fale przypływu. Potężny huragan Mitch zaatakował jesienią 1998 Amerykę Środkową, powodując kilkanaście tysięcy ofiar śmiertelnych i kolosalne straty materialne, głównie na skutek katastrofalnych opadów i spowodowanych nimi osunięć ziemi oraz powodzi. Z kolei we wrześniu 2005 roku huragan Katrina spowodował zalanie Nowego Orleanu oraz spustoszył stan Missisipi.
Cyklony tropikalne, które spowodowały największe straty w USA[3]:
| Pozycja | Nazwa | Rok | Kategoria | Koszty ($) |
|---|---|---|---|---|
| 1 | Katrina | 2005 | 3 | 160 000 000 000 |
| 2 | Harvey | 2017 | 4 | 125 000 000 000 |
| 3 | Maria | 2017 | 4 | 90 000 000 000 |
| 4 | Sandy | 2012 | 1 | 70 200 000 000 |
| 5 | Irma | 2017 | 4 | 50 000 000 000 |
| 6 | Andrew | 1992 | 5 | 47 790 000 000 |
| 7 | Ike | 2008 | 2 | 34 800 000 000 |
| 8 | Ivan | 2004 | 3 | 27 060 000 000 |
| 9 | Wilma | 2005 | 3 | 24 320 000 000 |
| 10 | Rita | 2005 | 3 | 23 680 000 000 |
| 11 | Charley | 2004 | 4 | 21 120 000 000 |
| 12 | Irene | 2011 | 1 | 14 985 000 000 |
| 13 | Hugo | 1989 | 4 | 14 070 000 000 |
| 14 | Frances | 2004 | 2 | 12 936 000 000 |
| 15 | Agnes | 1972 | 1 | 12 516 000 000 |
| 16 | Allison | 2001 | TS | 11 815 000 000 |
| 17 | Betsy | 1965 | 3 | 11 152 000 000 |
| 18 | Matthew | 2016 | 1 | 10 300 000 000 |
| 19 | Jeanne | 2004 | 3 | 9 900 000 000 |
| 20 | Camille | 1969 | 5 | 9 776 000 000 |
Pomiary
W większości krajów nawiedzanych przez cyklony tropikalne jednym z najważniejszych zadań służb meteorologicznych jest obserwacja i prognozowanie tych zjawisk. Cały cykl życiowy cyklonów tropikalnych śledzi się, przeprowadzając obserwacje przy użyciu geostacjonarnych satelitów meteorologicznych. Gdy cyklony znajdują się w zasięgu radarów meteorologicznych, można „zaglądać” do ich wnętrza. Ponadto United States Air Force (USAF) oraz National Oceanic and Atmospheric Administration (NOAA) dysponują flotą samolotów pomiarowych wyposażonych w urządzenia do badania huraganów. Dane satelitarne, radarowe, z pomiarów lotniczych i naziemnych służą do opracowywania prognoz dotyczących rozwoju i trasy cyklonów; prognozy są wykorzystywane przez służby obrony cywilnej, które podejmują działania obronne przed siłą żywiołu.
Proces termodynamiczny

Cyklon może być rozpatrywany jako rodzaj silnika parowego (cieplnego), w którym z powierzchni oceanu następuje parowanie, które nagrzewa i nawilża powietrze. Gdy wilgotne i ciepłe powietrze unosi się, ulega ochłodzeniu, w wyniku czego następuje kondensacja pary wodnej. Ten cykl zmian sprawia, że układ przetwarza ciepło na pracę, której część jest zamieniana na energię ruchu cyklonu. Niektórzy badacze cyklonów próbują przedstawić cykl zmian cieplnych w cyklonie jako termodynamiczny cykl Carnota.
Regionalne nazwy
W poszczególnych rejonach świata cyklony tropikalne, których siła wiatru przekracza 63 węzły, noszą lokalne nazwy. Nazwy te częściej są stosowane w locjach niż w komunikatach prognostycznych. Wszystkie odnoszą się do tego samego zjawiska meteorologicznego i są to[4]:
- huragan (ang. hurricane) – północny Atlantyk, rejon zachodnioindyjski (nazywane również cyklonami zachodnioindyjskimi lub antylskimi), północno-wschodni Pacyfik, południowo-wschodni Pacyfik (Fidżi, Samoa, Nowa Zelandia),
- tajfun (ang. typhoon) – północno-zachodni Pacyfik,
- cyklon (ang. cyclone) – powstające w okresie styczeń – marzec cyklony tropikalne w rejonie Zatoki Bengalskiej, Morza Arabskiego, u południowej części Oceanu Indyjskiego na zachód od 080° E (tzw. cyklony Mauritius),
- baguio (taj. bagujos, vagio) – rejon Filipin, najczęściej w okresie lipiec – listopad,
- willy-willy – nazwa z języka angielskiego stosowana na Morzu Timor i Morzu Arafura u północno-zachodnich wybrzeży Australii w okresie listopad – marzec,
- cordonazo – nazwa z języka hiszpańskiego określająca mały huragan na północno-wschodnim Pacyfiku, występujący dość rzadko na początku października i poruszający się z okolic 130° W przez Wyspy Revillagigedo ku wybrzeżom Meksyku.
Zobacz też
Przypisy
- ↑ Zmiany klimatyczne, a częstość występowania i intensywność huraganów.
- ↑ Wpływ zmian klimatu na powstawanie huraganów.
- ↑ https://www.nhc.noaa.gov/news/UpdatedCostliest.pdf
- ↑ Andrzej Marsz, Anna Styszyńska Materiały do ćwiczeń z meteorologii i oceanografii. Część II: cyklony tropikalne, Wydawnictwo Wyższej Szkoły Morskiej, Gdynia 1992.
Linki zewnętrzne
- Globalne ocieplenie a huragany – artykuł w portalu Ekoportal.eu. ekoportal.eu. [zarchiwizowane z tego adresu (2007-02-28)].