Kozi Korytarz
| Plan jaskini | |
![]() | |
| Państwo | |
|---|---|
| Województwo | |
| Położenie | |
| Właściciel | |
| Długość |
7 m |
| Deniwelacja |
0 m |
| Wysokość otworów |
1399 m n.p.m. |
| Wysokość otworów nad dnem doliny |
120 m |
| Ekspozycja otworów |
ku NW |
| Data odkrycia |
3 maja 1934 roku |
| Odkrywca |
Stefan Zwoliński i Jerzy Zahorski |
| Kod |
(nr inwentarzowy PIG) T.D-15.01 |
Położenie na mapie Tatr ![]() | |
Położenie na mapie Karpat ![]() | |
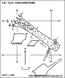
Kozi Korytarz – jaskinia w Dolinie Bystrej w Tatrach Zachodnich. Wejście do niej znajduje się nad Kalackim Korytem, pod szczytem Kalackiej Turni, na wysokości 1399 metrów n.p.m[1]. Jaskinia jest pozioma, a jej długość wynosi 7 metrów[2].

Opis jaskini
Jaskinię stanowi poziomy, prosty korytarz zaczynający się w dużym otworze wejściowym i kończący ślepo po 7 metrach. Na jego końcu odchodzi w bok krótki korytarzyk zbyt ciasny do przejścia[3].
Przyroda
W jaskini brak jest nacieków. Zamieszkują ją kozice. Ściany są wilgotne, rosną na nich mchy i porosty[3].
Historia odkryć
Jaskinię odkryli Stefan Zwoliński i Jerzy Zahorski w 1934 roku. Pierwszą wzmiankę o niej z podaniem położenia na mapach opublikował Z. Wójcik w 1966 roku[3].
Przypisy
- ↑ Tatry polskie. Mapa topograficzna 1:10 000. Zarząd Topograficzny Sztabu Generalnego WP, Wydawnictwo Czasopisma Wojskowe, 1984
- ↑ Jaskinie Tatr [online], 31 sierpnia 2017 [dostęp 2018-10-22] [zarchiwizowane z adresu 2017-08-31].
- 1 2 3 Jaskinie Polski, Państwowy Instytut Geologiczny – Państwowy Instytut Badawczy [online], jaskiniepolski.pgi.gov.pl [dostęp 2017-01-13].


