Mała Szczelina
| Plan jaskini | |
![]() | |
| Państwo | |
|---|---|
| Województwo | |
| Położenie | |
| Właściciel | |
| Długość |
6 m |
| Deniwelacja |
0 m |
| Wysokość otworów |
1087 m n.p.m. |
| Wysokość otworów nad dnem doliny |
60 m |
| Ekspozycja otworów |
ku S |
| Data odkrycia |
1966 rok |
| Odkrywca |
Z. Wójcik |
| Kod |
(nr inwentarzowy PIG) T.E-08.26 |
Położenie na mapie Tatr ![]() | |
Położenie na mapie Karpat ![]() | |
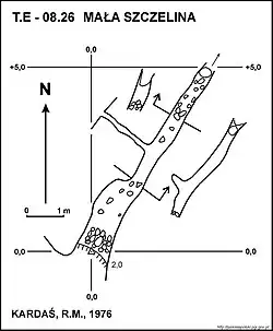
Mała Szczelina – jaskinia w Dolinie Kościeliskiej w Tatrach Zachodnich. Wejście do niej znajduje się w zboczu Zbójnickiej Turni, w pobliżu Jaskini Ziobrowej, na wysokości 1087 metrów n.p.m. Jaskinia jest pozioma, a jej długość wynosi 6 metrów[1].

Opis jaskini
Jaskinię stanowi wąski, szczelinowy, na początku idący w dół, a następnie w górę, korytarzyk zaczynający się w małym, szczelinowym otworze wejściowym, a kończący zawaliskiem[2].
Przyroda
W jaskini brak jest nacieków. Ściany są suche, rosną na nich glony i porosty[2].
Historia odkryć
Pierwszą wzmiankę o jaskini opublikował Z. Wójcik w 1966 roku. Jej plan i opis sporządził R.M. Kardaś przy pomocy M. Burkackiego i J. Szarana w 1976 roku[2].
Przypisy
- ↑ Jaskinie Tatr [online], 16 sierpnia 2017 [dostęp 2018-10-22] [zarchiwizowane z adresu 2017-08-16].
- 1 2 3 Jaskinie Polski, Państwowy Instytut Geologiczny – Państwowy Instytut Badawczy [online], jaskiniepolski.pgi.gov.pl [dostęp 2017-03-16] (pol.).


