Niski Okap (Zimny Dół)
| Plan jaskini | |
![]() | |
| Państwo | |
|---|---|
| Województwo | |
| Położenie | |
| Właściciel | |
| Długość |
7 m |
| Głębokość |
0 m |
| Wysokość otworów |
330 m n.p.m. |
| Ekspozycja otworów |
ku E |
| Kod |
J.GT-03.44 |
Położenie na mapie gminy Liszki ![]() | |
Położenie na mapie Polski ![]() | |
Położenie na mapie województwa małopolskiego ![]() | |
Położenie na mapie powiatu krakowskiego ![]() | |
| Strona internetowa | |
Niski Okap – okap w skałach na orograficznie lewym zboczu doliny Zimny Dół na terenie wsi Czułów, w gminie Liszki w województwie małopolskim w obrębie rezerwatu przyrody Zimny Dół[1]. Pod względem geograficznym jest to obszar Garbu Tenczyńskiego w obrębie Wyżyny Krakowsko-Częstochowskiej[2].
Opis obiektu
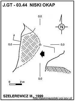
Znajduje się na zboczu położonym w kierunku północno-zachodnim nad Źródłem w Zimnym Dole[1], w skale Salamandra zaliczanej do Grupy Salamandry[3]. Skała ta znajduje się w lesie na średnio pochyłym zboczu. Od strony wschodniej nisko nad ziemią ma okap o długości 7 m i maksymalnym wysięgu 3 m[1].
Okap powstał w wapieniach zrostkowych pochodzących z jury późnej[4]. W całości jest jasny i suchy. Brak nacieków, na ścianach natomiast silnie rozwijają się glony i mchy. Na dnie warstwa liści, a pod nią próchnicy, prawdopodobnie dużej miąższości[1]. W górnej części okapu w głąb skały wnika dość ciasny korytarz (na planie nie zaznaczony, został bowiem odgruzowany już po wykonaniu planu).
Okap nie był wzmiankowany w literaturze. Jego dokumentację opracowali A. Górny i M. Szelerewicz w listopadzie 1999 r. Plan jaskini opracował M. Szelerewicz[1].
Przypisy
- 1 2 3 4 5 Andrzej Górny, Mariusz Szelerewicz, Niski Okap, [w:] Jaskinie Polski [online], Państwowy Instytut Geologiczny – Państwowy Instytut Badawczy [dostęp 2020-01-16].
- ↑ Jerzy Kondracki, Geografia regionalna Polski, Warszawa: Wyd. Naukowe PWN, 1998, ISBN 83-01-12479-2.
- ↑ Bouldering w Zimnym Dole [online] [dostęp 2019-12-22].
- ↑ Na podstawie tablicy zamontowanej przy drodze przez Zimny Dół

_location_map.png)





.jpg)
.jpg)