Nyża w Baranich Schodkach II
| Plan jaskini | |
![]() | |
| Państwo | |
|---|---|
| Województwo | |
| Położenie | |
| Właściciel | |
| Długość |
5 m |
| Deniwelacja |
2,5 m |
| Wysokość otworów |
1775 m n.p.m. |
| Wysokość otworów nad dnem doliny |
260 m |
| Ekspozycja otworów |
ku E |
| Data odkrycia |
znana od dawna |
| Kod |
(nr inwentarzowy PIG) T.E-12.66 |
Położenie na mapie Tatr ![]() | |
Położenie na mapie Karpat ![]() | |
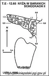
Nyża w Baranich Schodkach II – jaskinia, a właściwie schronisko, w Dolinie Małej Łąki w Tatrach Zachodnich. Wejście do niej znajduje się w górnej części Baranich Schodów, poniżej Nyży w Baranich Schodkach I, na wysokości 1775 metrów n.p.m. Długość jaskini wynosi 5 metrów, a jej deniwelacja 2,5 metrów[1].

Opis jaskini
Jaskinię stanowi idący stromo do góry, szczelinowy korytarz zaczynający się w obszernym otworze wejściowym, a kończący ślepo po 5 metrach[2].
Przyroda
W jaskini brak jest nacieków. Ściany są wilgotne, rosną na nich mchy, wątrobowce, glony i porosty[2].
Historia odkryć
Jaskinia była prawdopodobnie znana od dawna. Jej pierwszy plan i opis sporządziła I. Luty przy pomocy J. Kowalskiego w 1999 roku[2].
Przypisy
- ↑ Jaskinie Tatr [online], 27 sierpnia 2017 [dostęp 2018-10-22] [zarchiwizowane z adresu 2017-08-27].
- 1 2 3 Jaskinie Polski, Państwowy Instytut Geologiczny – Państwowy Instytut Badawczy [online], jaskiniepolski.pgi.gov.pl [dostęp 2017-03-27] (pol.).


