Okap w Rachowcu
| Państwo | |
|---|---|
| Województwo | |
| Położenie | |
| Właściciel |
prywatny |
| Długość |
17 m |
| Deniwelacja |
0 |
| Wysokość otworów |
315 m n.p.m. |
| Wysokość otworów nad dnem doliny |
21 m |
| Ekspozycja otworów |
ku zachodowi |
| Kod |
J.Cz.I-02.02 |
Położenie na mapie gminy Olsztyn ![]() | |
Położenie na mapie Polski ![]() | |
Położenie na mapie województwa śląskiego ![]() | |
Położenie na mapie powiatu częstochowskiego ![]() | |
Okap w Rachowcu – duży okap w skale Kuropatwa na wzniesieniu Rachowiec w miejscowości Kusięta w województwie śląskim, w powiecie częstochowskim, w gminie Olsztyn[1]. Pod względem geograficznym jest to obszar Wyżyny Mirowsko-Olsztyńskiej w obrębie Wyżyny Częstochowskiej[2].
Opis


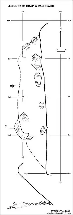
Skała Kuropatwa znajduje się w gęstym zagajniku grabowo-leszczynowym, tuż przy wysokim ogrodzeniu prywatnej posesji. Okap znajduje się pod silnie przewieszoną zachodnią ścianą Kuropatwy, poza tym ogrodzeniem. Ma około 5 m wysokości, długość 17,5 m i maksymalny wysięg 3,5 m[1]. Na jego przewieszonej ścianie prowadzą trudne drogi wspinaczkowe o boulderingowym charakterze[3].
Schronisko pod okapem powstało w późnojurajskich wapieniach skalistych. Ma ogładzone ściany bez nacieków. Jego namulisko składa się z próchnicy z dużą ilością wapiennego gruzu[1].
Okap w Rachowcu opisał w lipcu 2008 r. J. Zygmunt. On też sporządził jego plan[1].
W pobliżu Okapu w Rachowcu rośnie rzadki w Polsce gatunek krzewu – kłokoczka południowa Staphylea pinnata. Jej stanowisko tutaj znajduje się na północnym krańcu zasięgu tego gatunku[1]. W mniejszej skale tuż po północnej stronie Kuropatwy (już w obrębie ogrodzonej posesji) znajduje się Koleba w Rachowcu, a w skale ukrytej w leszczynowo-grabowym zagajniku z tyłu Kuropatwy jest Schronisko w Rachowcu[4].
Przypisy
- 1 2 3 4 5 Jerzy Zygmunt, Okap w Rachowcu, [w:] Jaskinie Polski [online], Państwowy Instytut Geologiczny – Państwowy Instytut Badawczy [dostęp 2021-09-09].
- ↑ Jerzy Kondracki, Geografia regionalna Polski, Warszawa: Wydawnictwo Naukowe PWN, 1998, ISBN 83-01-12479-2.
- ↑ Grzegorz Rettinger, Jura Północna. Przewodnik wspinaczkowy, Kraków: wspinanie.pl, 2017, ISBN 978-83-947825-0-4.
- ↑ Jaskinie Polski [online], Państwowy Instytut Geologiczny – Państwowy Instytut Badawczy [dostęp 2021-09-09].
_location_map.png)


