Paederus limnophilus
| Paederus limnophilus | |||
| Erichson, 1840 | |||
![]() | |||
| Systematyka | |||
| Domena | |||
|---|---|---|---|
| Królestwo | |||
| Typ | |||
| Gromada | |||
| Rząd | |||
| Podrząd | |||
| Rodzina | |||
| Podrodzina |
żarlinki | ||
| Plemię |
Paederini | ||
| Podplemię |
Paederina | ||
| Rodzaj | |||
| Podrodzaj |
Paederus (Eopaederus) | ||
| Gatunek |
Paederus (Eopaederus) limnophilus | ||
| Synonimy | |||
| |||
Paederus limnophilus – gatunek chrząszcza z rodziny kusakowatych i podrodziny żarlinków.
Gatunek ten został opisany w 1840 roku przez Wilhelma Ferdinanda Erichsona[1].
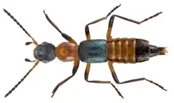
Chrząszcz o wydłużonym i lekko wypukłym ciele długości od 5,5 do 6,5 mm. Czułki są oprócz części nasadowych czarne. Głaszczki szczękowe mają trzeci człon całkowicie czarny. Przedplecze jest owalne, co najwyżej nieco węższe od pokryw, o brzegach bocznych nieobrębionych i ku tyłowi lekko zbieżnych. Odległości między punktami na bokach przedplecza są od dwóch do trzech razy większe od ich średnic. Pokrywy są nierozszerzone ku tyłowi, zaopatrzone w wyraźnie barki, o powierzchni gęsto i niezbyt silnie punktowanej. Środek śródpiersia i zapiersie są czarne. Odnóża mają czarne wierzchołki ud, golenie i stopy[2].
Owad znany z Francji, Niemiec, Szwajcarii, Austrii, Włoch, Łotwy, Polski, Czech, Słowacji, Węgier, Rumunii, Bośni i Hercegowiny, Serbii, Czarnogóry i Rosji[1]. Zasiedla pobrzeża wód i wilgotne łąki, gdzie bytuje pod opadłymi liśćmi i innymi szczątkami roślinnymi, w napływkach i pod sianem. Preferuje pobrzeża rzek i potoków, zwłaszcza w rejonach górskich i podgórskich[3][2].
Przypisy
- 1 2 Paederus (Eopaederus) limnophilus. [w:] Fauna Europaea [on-line]. [dostęp 2018-08-08].
- 1 2 Andrzej Szujecki: Klucze do oznaczania owadów Polski cz. XIX Chrząszcze - Coleoptera z. 24 c Kusakowate - Staphylinidae: Kiepurki - Euaesthetinae, Żarlinki - Paederinae. Warszawa: PWN, PTEnt., 1965.
- ↑ B. Burakowski, M. Mroczkowski, J. Stefańska. Chrząszcze – Coleoptera. Staphylinidae część 1. „Katalog Fauny Polski”. XXIII (6), 1979.
.png)