Schronisko przy Stacji Kolejowej Rabsztyn
| Plan jaskini | |
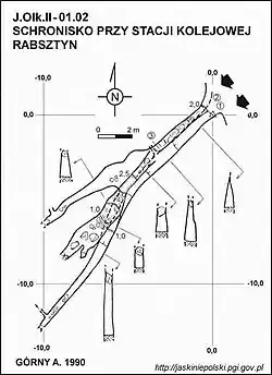
![]() | |
| Państwo | |
|---|---|
| Województwo | |
| Położenie | |
| Właściciel | |
| Długość |
49 m |
| Głębokość |
9 m |
| Deniwelacja |
0 |
| Wysokość otworów |
414 m n.p.m. |
| Ekspozycja otworów |
ku NE |
| Kod |
J.Olk.II-01.02 |
Położenie na mapie gminy Olkusz ![]() | |
Położenie na mapie Polski ![]() | |
Położenie na mapie województwa małopolskiego ![]() | |
Położenie na mapie powiatu olkuskiego ![]() | |
| Strona internetowa | |
Schronisko przy Stacji Kolejowej Rabsztyn – schronisko w rezerwacie przyrody Pazurek na Wyżynie Olkuskiej będącej częścią Wyżynie Krakowsko-Częstochowskiej[1]. Wbrew swojej nazwie nie znajduje się przy stacji kolejowej Rabsztyn, lecz w Zubowych Skałach w pobliżu kolonii Pazurek w województwie małopolskim, w powiecie olkuskim, w gminie Olkusz[1].
Opis obiektu
Jest to schronisko w jednej z wyżej położonych Zubowych Skał. Powstało na pionowej szczelinie, w której znajdują się zaklinowane głazy. Schronisko ma rozwinięcie pionowe. Ze szczeliny za otworem można przejść w górę, ale miejscami wymaga to zapieraczki. Górą szczelina wychodzi na zewnątrz oknami skalnymi[1].
Schronisko jest przewiewne, suche, w głębi ciemne. Jego namulisko tworzy skalny gruz i próchnica. Przy otworach rozwijają się mchy, wewnątrz obserwowano pajęczaki[1].
Jaskinię po raz pierwszy opisał Kazimierz Kowalski w 1951 r. Podczas jej zwiedzania znalazł w niej liczne nietoperze[2]. W 1990 r. M. Szelerewicz opracował jej dokumentację dla Zarządu Zespołu Jurajskich Parków Krajobrazowych. Plan jaskini i przekrój opracował A. Górny[1].
Schronisko znajduje się w rezerwacie przyrody i nie jest udostępniona do zwiedzania[3].
Przypisy
- 1 2 3 4 5 Mariusz Szelerewicz, Schronisko przy Stacji Kolejowej Rabsztyn, [w:] Jaskinie Polski [online], Państwowy Instytut Geologiczny – Państwowy Instytut Badawczy [dostęp 2021-05-15].
- ↑ Kazimierz Kowalski, Jaskinie Polski. Tom I, Warszawa: Państwowe Muzeum Archeologiczne, 1951.
- ↑ Jaroszowiec – Standardowy Formularz Danych [online] [dostęp 2021-05-27].

_location_map.png)



.jpg)
.jpg)
.jpg)
.jpg)