Szczelina pod Lodową
| Plan jaskini | |
![]() | |
| Państwo | |
|---|---|
| Województwo | |
| Położenie | |
| Właściciel | |
| Długość |
6 m |
| Głębokość |
1,5 m |
| Deniwelacja |
1,5 m |
| Wysokość otworów |
1561 m n.p.m. |
| Wysokość otworów nad dnem doliny |
50 m |
| Ekspozycja otworów |
ku NW |
| Kod |
(nr inwentarzowy PIG) T.F-10.11 |
Położenie na mapie Tatr ![]() | |
Położenie na mapie Karpat ![]() | |
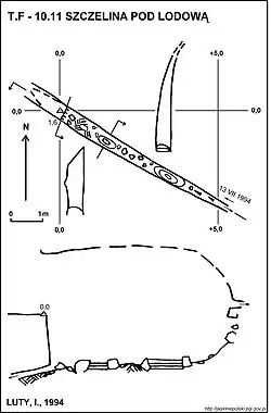
Szczelina pod Lodową – jaskinia w Dolinie Kościeliskiej w Tatrach Zachodnich. Wejście do niej znajduje się na wschodnim zboczu górnej części Wąwozu Kraków w stoku Mechów pod Jaskinią Lodową Krakowską na wysokości 1561 m n.p.m. Długość jaskini wynosi 6 metrów, a jej deniwelacja 1,5 metra[1].

Opis jaskini
Jaskinię stanowi wąski, szczelinowy, zwężający się korytarzyk zaczynający się w wysokim i wąskim otworze wejściowym, a kończący szczeliną nie do przejścia. Prawdopodobnie przez szczeliny jaskinia ma połączenie z Jaskinią Lodową Krakowską[2].
Przyroda
W jaskini brak jest nacieków. Na ścianach rosną niewielkie ilości mchów i glonów. Dno pokrywa lód[2].
Historia odkryć
Brak jest danych o odkrywcach jaskini. Pierwszy jej plan i opis sporządziła I. Luty przy pomocy R. Cygana w 1994 roku[2].
Przypisy
- ↑ Jaskinie Tatr [online], 23 sierpnia 2017 [dostęp 2018-10-23] [zarchiwizowane z adresu 2017-08-23].
- 1 2 3 Jaskinie Polski, Państwowy Instytut Geologiczny – Państwowy Instytut Badawczy [online], jaskiniepolski.pgi.gov.pl [dostęp 2017-02-18] (pol.).


