Szczelina w Tomanowym Grzbiecie V
| Plan jaskini | |
![]() | |
| Państwo | |
|---|---|
| Województwo | |
| Położenie | |
| Właściciel | |
| Długość |
6 m |
| Głębokość |
1 m |
| Deniwelacja |
3,5 m |
| Wysokość otworów |
1808 m n.p.m. |
| Wysokość otworów nad dnem doliny |
160 m |
| Ekspozycja otworów |
ku W |
| Data odkrycia |
znana od dawna |
| Kod |
(nr inwentarzowy PIG) T.F-10.16 |
Położenie na mapie Tatr ![]() | |
Położenie na mapie Karpat ![]() | |
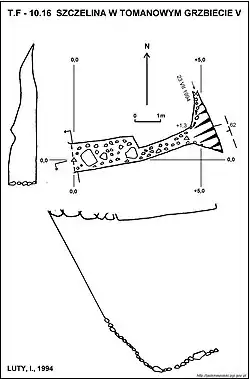
Szczelina w Tomanowym Grzbiecie V – jaskinia w Dolinie Kościeliskiej w Tatrach Zachodnich. Wejście do niej znajduje się w Tomanowym Grzbiecie od strony Wąwozu Kraków, powyżej Kazalnicy i Szczeliny w Tomanowym Grzbiecie IV, na wysokości 1808 metrów n.p.m. Długość jaskini wynosi 6 metrów, a jej deniwelacja 3,5 metrów[1].

Opis jaskini
Jaskinię stanowi szczelinowy, obszerny, idący na początku w dół, a następnie w górę, korytarz zaczynający się w bardzo wysokim, szczelinowym otworze wejściowym i kończący gładką ścianą. Wzdłuż ściany odchodzi krótki, szczelinowy korytarzyk[2].
Przyroda
W jaskini brak jest nacieków. Na ścianach rosną mchy i porosty[2].
Historia odkryć
Jaskinia była prawdopodobnie znana od dawna. Jej pierwszy plan i opis sporządziła I. Luty przy pomocy J. Iwanickiego (juniora) i M. Kurczewskiego w 1994 roku[2].
Przypisy
- ↑ Jaskinie Tatr [online], 23 sierpnia 2017 [dostęp 2018-10-23] [zarchiwizowane z adresu 2017-08-23].
- 1 2 3 Jaskinie Polski, Państwowy Instytut Geologiczny – Państwowy Instytut Badawczy [online], jaskiniepolski.pgi.gov.pl [dostęp 2017-03-13] (pol.).


