Wielka Szczelina (jaskinia)
| Plan jaskini | |
![]() | |
| Państwo | |
|---|---|
| Województwo | |
| Położenie | |
| Właściciel | |
| Długość |
28 m |
| Głębokość |
10,3 m |
| Deniwelacja |
10,3 m |
| Wysokość otworów |
1280 i 1285 m n.p.m. |
| Wysokość otworów nad dnem doliny |
270 m |
| Ekspozycja otworów |
ku NW, ku S |
| Data odkrycia |
znana od dawna |
| Kod |
(nr inwentarzowy PIG) T.D-08.24 |
Położenie na mapie Tatr ![]() | |
Położenie na mapie Karpat ![]() | |
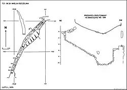
Wielka Szczelina – jaskinia w Dolinie Kościeliskiej w Tatrach Zachodnich. Ma dwa otwory wejściowe położone w skałach leżących nad Kazalnicą w Stołach, na wysokościach 1280 i 1285 metrów n.p.m[1]. Długość jaskini wynosi 28 metrów, a jej deniwelacja 10,30 metrów[2].

Opis jaskini
Jaskinię stanowi wysoka na 7 – 10 metrów szczelina przebijająca skałę na wylot.
Szczelina od dolnego otworu zaczyna się 2,6 metrowym progiem, idzie dalej stromo w dół i dochodzi do 4-metrowego progu znajdującego się przed otworem górnym[3].
Przyroda
W jaskini brak jest nacieków i roślinności. W ścianach widać grube żyły hematytu[3].
Historia odkryć
Jaskinia znana była od dawna. Zbadali ją w latach 40. XX wieku grotołazi zakopiańscy[3].
Przypisy
- ↑ Tatry polskie. Mapa topograficzna 1:10 000. Zarząd Topograficzny Sztabu Generalnego WP, Wydawnictwo Czasopisma Wojskowe, 1984.
- ↑ Jaskinie Tatr [online], 16 sierpnia 2017 [dostęp 2018-10-24] [zarchiwizowane z adresu 2017-08-16].
- 1 2 3 Jaskinie Polski, Państwowy Instytut Geologiczny – Państwowy Instytut Badawczy [online], jaskiniepolski.pgi.gov.pl [dostęp 2016-03-26].


