Grzbiet Wielorybi

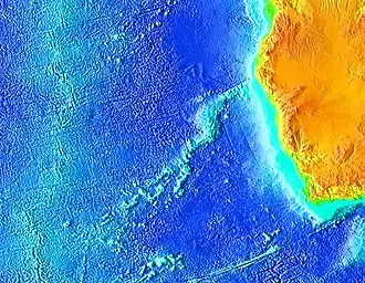
Grzbiet Wielorybi (ang. Walvis Ridge) – grzbiet podmorski na dnie Oceanu Atlantyckiego, położony w jego południowo-wschodniej części. Ma ok. 2450 km długości, rozciąga się pomiędzy Grzbietem Śródatlantyckim i wybrzeżem Afryki, należącym do Namibii. Rozdziela wody oceaniczne na baseny Angolski i Przylądkowy. Jego wysokość dochodzi do 4000 m ponad dno oceaniczne w otaczających go basenach.
Na Grzbiecie Wielorybim znajdują się m.in.: wyspa Tristan da Cunha, góra podwodna Ewing
Nie jest grzbietem śródoceanicznym związanym ze strefą spreadingu - rozrostu dna oceanicznego. Jest to grzbiet powstały w wyniku przesuwania się płyty oceanicznej ponad tzw. plamą gorąca. Zbudowany jest ze skał wulkanicznych.
Jego wschodnia część powstała w kredzie, między 120 a 80 mln lat temu (apt - kampan)[1][2].
Przypisy
- ↑ L. Pastouret, J. Goslin, Middle Cretaceous sediments from the eastern part of Walvis Ridge, wyd. 5448, t. 248, Nature, 5 kwietnia 1974, s. 495–496, DOI: 10.1038/248495a0 [dostęp 2009-03-12].
- ↑ C. O'Neill, R. D. Müller, B. Steinberger. Revised Indian plate rotations based on the motion of Indian Ocean hotspots. „Earth and Planetary Science Letters”. 215, s. 151–168, 2003.
Bibliografia
- Wielorybi, Grzbiet, [w:] Encyklopedia PWN [online], Wydawnictwo Naukowe PWN [dostęp 2010-03-09].