Macroveliidae
| Macroveliidae | |
| McKinstry, 1942 | |
| Okres istnienia: eocen–dziś | |
![]() | |
| Systematyka | |
| Domena | |
|---|---|
| Królestwo | |
| Typ | |
| Gromada | |
| Rząd | |
| Podrząd | |
| Infrarząd | |
| Nadrodzina | |
| Rodzina |
Macroveliidae |
Macroveliidae – rodzina pluskwiaków z podrzędu różnoskrzydłych i infrarzędu półwodnych.
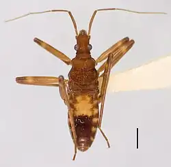
Są to pluskwiaki niewielkich rozmiarów, o ciele długości od 2,5 do 5,6 mm, wyglądem przypominające niektóre wodziarkowate. Powierzchnię ich głowy, tułowia i pierwszego segmentu odwłoka pokrywa warstwa mikroskopowych i makroskopowych włosków. Macrovelia wykazują polimorfizm w budowie skrzydeł (pterygopolimorfizm) – mogą być długo- lub krótkoskrzydłe. Pozostałe rodzaje współczesne są bezskrzydłe. W pełni rozwinięte przyoczka występują tylko u długoskrzydłych Macrovelia. U Oravelia przyoczka są uwstecznione, a u Chepuvelia całkiem nieobecne. Biczykowate czułki mają wydłużone dwa pierwsze człony. Sięgająca mniej więcej do okolicy bioder środkowej pary odnóży kłujka ma dwa pierwsze człony bardzo krótkie, a człon trzeci 2,5 raza dłuższy od czwartego. Tylna część przedplecza jest u form bezskrzydłych ścięta, zaś u długoskrzydłych Macrovelia wyciągnięta tak, że nakrywa śródplecze, szczątkową tarczkę i zaplecze. Odnóża mają trójczłonowe stopy i osadzone wierzchołkowo przedstopia. Genitalia samca charakteryzują się wierzchołkowo osadzonym pygoforem i symetrycznymi paramerami. U samic walwy pokładełka są płytkowate[1].
Owady te prowadzą skryty tryb życia. Przedstawiciele rodzajów Macrovelia i Oravelia bytują w zacienionych miejscach wśród bujnie porośniętych roślinnością źródlisk i wysięków. Wykazują ujemny fototropizm. Z kolei Chepuvelia zasiedla wilgotną ściółkę. Imagines Macrovelia bywają aktywne w cieplejszych okresach w ciągu zimy[1].
Współcześnie rodzina ta występuje w nearktycznej Ameryce Północnej oraz w Chile[1].
Do rodziny tej należą 4 opisane gatunki, zgrupowane w 4 monotypowych rodzajach[1][2]:
- Chepuvelia China, 1963
- †Daniavelia Andersen, 1998
- Macrovelia Uhler, 1872
- Oravelia Drake & Chapman, 1963
W zapisie kopalnym rodzina znana jest z jednego, eoceńskiego gatunku Daniavelia morsensis[3].
Przypisy
- 1 2 3 4 Macroveliidae. W: Randall T. Schuh, James Alexander Slater: True bugs of the world (Hemiptera:Heteroptera): classification and natural history. Ithaca and London: Cornell University Press, 1995, s. 93-94. ISBN 0-8014-2066-0.
- ↑ family Macroveliidae McKinstry, 1942. [w:] BioLib.cz [on-line]. [dostęp 2019-07-19].
- ↑ N.M. Andersen. Water striders from the Paleogene of Denmark and review of fossil record and evolution of semi aquatic bugs (Hemiptera Gerromorpha). „Biologiske Skrifter”. 50, s. 1-157, 1998.
