Notoxus appendicinus
| Notoxus appendicinus | |
| Desbrochers des Loges, 1874 | |
![]() | |
| Systematyka | |
| Domena | |
|---|---|
| Królestwo | |
| Typ | |
| Gromada | |
| Rząd | |
| Podrząd | |
| Rodzina | |
| Podrodzina | |
| Rodzaj | |
| Gatunek |
Notoxus appendicinus |
Notoxus appendicinus – gatunek chrząszcza z rodziny nakwiatkowatych i podrodziny Notoxinae.
Takson ten opisał po raz pierwszy w 1874 roku Jules Desbrochers des Loges[1]. W zależności od autora traktowany jest jako osobny gatunek[2] lub jako podgatunek w obrębie gatunku Notoxus cavifrons[1].
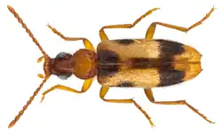
Chrząszcz o ciele długości od 3 do 5 mm, porośniętym przylegającym owłosieniem, a na głowie, przedpleczu i pokrywach także wmieszanymi w nie stojącymi szczecinkami. Punktowanie głowy i przedplecza jest rzadkie i delikatne, zaś pokryw gęste i grubsze. Barwa głowy jest czarnobrunatna, przedplecza czerwonobrunatna z przyciemnionym wierzchem, głaszczków, czułków i odnóży żółtobrunatna lub trochę ciemniejsza, zaś pokryw żółtobrunatna z czarnobrunatnym wzorem, typowo złożonym z plamy przytarczkowej, pary plam zabarkowych i zygzakowatej przepaski poprzecznej o kątowo wciętym brzegu tylnym; poszczególne elementy wzoru mogą się jednak ze sobą łączyć. Spód ciała, z odwłokiem włącznie, jest jednolicie jasny. Przednia krawędź przedplecza wyciągnięta jest ponad głową w duży róg. Przy brzegu tylnym przedplecza znajduje się przewężenie z szeroko pośrodku przerwaną przepaską białego owłosienia. Wierzchołki pokryw są zawsze jasne, u samicy zaokrąglone, a u samca ścięte i zaopatrzone w ząbek[3].
Postaci dorosłe tego owada spotyka się od czerwca do września na gałęziach młodych drzew i kwiatach baldaszkowatych[3]. Ponadto przylatują do sztucznych źródeł światła[4].
Gatunek palearktyczny o subpontyjsko-śródziemnomorskim typie rozsiedlenia[3]. W Europie stwierdzony został we Francji (włącznie z Korsyką), Niemczech, Austrii, Włoszech (włącznie z Sardynią i Sycylią), Polsce, Słowacji, na Węgrzech, Ukrainie, w Chorwacji, Bośni i Hercegowinie, Serbii, Czarnogórze, Albanii, Rumunii, Bułgarii, Macedonii Północnej, Grecji (włącznie z Cykladami i Kretą) i południowej Rosji[1]. Poza Europą znany jest z Afryki Północnej, Bliskiego Wschodu i Azji Środkowej[1][5]. W Polsce gatunek bardzo rzadki, odnotowany dwukrotnie: w 1925 pod Warszawą[5] oraz w 2015 na Górnym Śląsku[4].
Przypisy
- 1 2 3 4 Notoxus cavifrons subsp. appendicinus Desbrochers des Loges, 1874. [w:] Fauna Europaea [on-line]. [dostęp 2019-12-22].
- ↑ gatunek: Notoxus appendicinus J. Desbrochers des Loges, 1874. [w:] Biodiversity Map [on-line]. [dostęp 2019-12-22].
- 1 2 3 Daniel Kubisz, Przemysław Szwałko: Klucze do oznaczania owadów Polski Część XIX Chrząszcze – Coleoptera z. 80. Nakwiatkowate - Anthicidae. Toruń: Polskie Towarzystwo Entomologiczne, 1998, s. 16-23.
- 1 2 Grzywocz J., Szołtys H., Wanat M., Greń C., Ruta R., Królik R.. Chrząszcze (Coleoptera) Śląska Dolnego i Górnego – dotychczasowy stan poznania oraz nowe dane faunistyczne: Anthicidae. „Acta entomologica silesiana”. 27, 2019.
- 1 2 Robert Lasecki, Rafał Ruta, Dmitry Telnov. Anthicus crinitus LaFerté-Sénectěre, 1849 (Coleoptera, Anthicidae) nowy dla fauny Polski, z krytycznym wykazem Anthicidae Polski. „Wiadomości Entomologiczne”. 32 (3), s. 179–184, 2013.
.png)