Plataraea brunnea
| Plataraea brunnea | |||||
| (Fabricius, 1798) | |||||
![]() | |||||
| Systematyka | |||||
| Domena | |||||
|---|---|---|---|---|---|
| Królestwo | |||||
| Typ | |||||
| Gromada | |||||
| Rząd | |||||
| Podrząd | |||||
| Rodzina | |||||
| Podrodzina |
rydzenice | ||||
| Plemię |
Athetini | ||||
| Podplemię |
Athetina | ||||
| Rodzaj |
Plataraea | ||||
| Podrodzaj |
Plataraea s.str. | ||||
| Gatunek |
Plataraea (Plataraea) brunnea | ||||
| |||||
Plataraea brunnea – gatunek chrząszcza z rodziny kusakowatych i podrodziny rydzenic. Zamieszkuje Europę, Syberię i Wyspy Japońskie.
Taksonomia
Gatunek ten opisany został po raz pierwszy w 1798 roku przez Johana Christiana Fabriciusa pod nazwą Staphylinus brunneus[1][2]. W 1802 roku Thomas Marsham opisał go jako Staphylinus nigriceps[3] i pod taką nazwą wyznaczono go potem gatunkiem typowym rodzaju Plataraea[1].
Morfologia
_Genital.png)
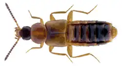
Chrząszcz o wydłużonym ciele długości od 3 do 4,5 mm. Głowa jest szersza niż dłuższa, stosunkowo lśniąca, ciemnorudobrązowa, o zaokrąglonych i dłuższych niż oczy skroniach. Powierzchnię ma koliście szagrynowaną, drobno i rzadko punktowaną. Czułki są smukłe, o członie ostatnim krótszym niż dwukrotność jego długości. Rudobrązowe, stosunkowo błyszczące przedplecze jest o ponad 1/5 szersze niż dłuższe, wyraźnie szersze od głowy, płaskie, szagrynowane i punktowane tak jak głowa. Owłosienie na linii środkowej przedplecza kieruje się ku przodowi w połowie przedniej i ku tyłowi w połowie tylnej. Jasnorudobrązowe, dość lśniące pokrywy są w barkach szersze od przedplecza. Punkty na ich powierzchni są niezmodyfikowane, rozmieszczone niezbyt gęsto, bardzo drobne. Odwłok ma równoległe boki, ciemnorudobrązowe ubarwienie i mniej drobne niż na pokrywach punktowanie. U samca na piątym tergicie występuje wyraźny, pośrodkowy guzek, a na tylnej krawędzi szóstego tergitu znajdują się ząbki. Sterczące szczecinki zmysłowe na pokrywach i odwłoku są krótsze niż u P. dubiosa, na tergitach krótsze niż drugi człon czułków[4].
Ekologia i występowanie
Owad znajdowany pod gnijącymi szczątkami roślinnymi i na łąkowych trawach[5].
Gatunek palearktyczny. W Europie znany jest z Hiszpanii, Irlandii, Wielkiej Brytanii, Francji, Belgii, Luksemburga, Holandii, Niemiec, Szwajcarii, Austrii, Włoch, Danii, Szwecji, Norwegii, Finlandii, Łotwy, Polski, Czech, Słowacji, Węgier, Rumunii i europejskiej części Rosji, a w Azji z syberyjskiej części Rosji i Japonii[1]. W Polsce podawany z nielicznych stanowisk[5].
Przypisy
- 1 2 3 M. Schülke, A. Smetana: Staphylinidae. W: Catalogue of Palaearctic Coleoptera Volume 2. Hydrophiloidea-Staphylinoidea. I. Löbl, D. Löbl (red.). Wyd. Brill. Leiden, Boston: 2015, s. 415-416.
- ↑ Johan Christian Fabricius: Supplementum entomologiae systematicae. Hafniae: Proft et Storch, 1798.
- ↑ Thomas Marsham: Entomologia Britannica: sistens insecta Britanniae indigena, secundum methodum Linnaenam disposita: Tomus I. Coleoptera. Londini: J. White, 1802.
- ↑ Arved Lompe: Gattung Plataraea Thoms.. [w:] Käfer Europas [on-line]. [dostęp 2024-11-03].
- 1 2 B. Burakowski, M. Mroczkowski, J. Stefańska. Chrząszcze – Coleoptera. Staphylinidae, część 3: Aleocharinae. „Katalog Fauny Polski”. XXIII (8), 1981.
.png)