Twierdza Namur

Twierdza Namur (pierwotnie (fr.) Region Fortifiee de Namur, po I w.św. przemianowana na (fr.) Position Fortifiee de Namur) – dziewiętnastowieczna twierdza fortowa wokół miasta Namur, zaprojektowana przez gen. Brialmonta, będąca częścią belgijskiej Reduty Narodowej.
Namur, miasto strategicznie położone u zbiegu Mozeli i Sambry, w pobliżu ważnego przejścia przez Ardeny było zawsze istotnym punktem pogranicznym i było obiektem licznych operacji wojskowych. Na wzgórzu nad ujściem Sambry do Mozeli Menno van Coehoorn zbudował cytadelę, przebudowaną następnie przez Vaubana.
Znaczenie Namur – duże ze względu na znajdujące się tam mosty na Mozeli i Sambrze – wzrosło jeszcze wraz z rozwojem sieci kolei, bo miasto stało się węzłem komunikacyjnym, w którym zbiegało się pięć linii kolejowych, prowadzących do Brukseli, Charleroi, Dinant, Givet, Liège, Luksemburga i Tienen[1].
Budowa rozpoczęła się w 1888 roku, obejmowała stworzenie pierścienia fortów, 40 km dróg fortecznych, 100 km linii kolejowych (łącznie z twierdzą Liège) i instalacji dodatkowych (zbiorników wodnych, linii komunikacyjnych itp.). Budowa fortów lewego brzegu Mozeli wymagała wykonania 820 tys. m³ prac ziemnych i zużycia 328 tys. m³ betonu i 6130 m³ cegieł; forty brzegu prawego pochłonęły odpowiednio 420 tys. m³ prac ziemnych, 145 tys. m³ betonu i 2758 m³ cegieł, nie licząc materiałów na ponad 300 tys. m² powierzchni tynkowych[2]. Prace rozpoczęto w 1888 i zakończono w 1891 roku. Pierwszy rok prac obejmował wyznaczenie i budowę dróg dojazdowych i fortecznych, odlesienie, prace deniwelacyjne i większość dużych prac ziemnych (jak kopanie fos), oraz liczne prace przygotowawcze do samej budowy, jak wznoszenie składów, kładzenie linii kolejowych, budowanie warsztatów naprawy lokomotyw itp.; drugi – wykonanie głównych prac ziemnych do odlewania głównej bryły fortu, przygotowanie i odlanie konstrukcji betonowych; trzeci – prace tynkarskie i wykończeniowe[3].
Region fortifiée de Namur
Forty zostały rozmieszczone w promieniu ok. 6 km od miasta, na najwyższych okolicznych wzgórzach, zazwyczaj ok. 4,7 km jeden od drugiego[4]. Strzegły linii komunikacyjnych i podejść do miasta, podzielone na współpracujące sektory[5].
Forty 1. sektora, w zakolu Mozeli, chroniły odpowiednio: de Dave – południowego odcinka doliny Mozeli, drogi i kolei do Dinant, i kolei do Arlon; d’Andoy – drogi do Jausse i kolei luksemburskiej; de Maizeret – doliny Mozeli na wschód od miasta, mostu Nameche i (kluczowe dla potencjalnie nacierającej od wschodu armii niemieckiej) linii kolejowej i szosy do Liège. Forty sektora 2 położone były na południowy zachód od miasta. Fort de Saint-Héribert osłaniał Rue St Gerard i bronił mniejszych dróg prowadzących na płaskowyż u zbiegu Mozeli i Sambry; od zachodu doliny tej ostatniej bronił fort de Malonne, który krył także linię do Charleroi i drogę do Châtelet. Trzeci sektor obejmował fort de Suarlée, broniący drogi do Gembloux i do Brukseli, oraz linii kolejowej z Brukseli do Namur i fort d’Emines, który oprócz dwóch poprzednich strzegł też kolei do Tienen. Wreszcie forty sektora 4. chroniły kolej tieneńską i drogę do Leuven (fort de Cognelée) i drogę do Hannut (fort de Marchovelette)[5][3].
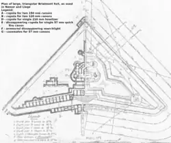
Forty budowane były według standaryzowanych planów, łączących określone projekty elementów takich jak poterny, kaponiery rewersowe, koszary szyjowe w obrębie ustalonych, trójkątnych lub trapezoidalnych narysów. Większość urządzeń fortu była zblokowana w jedną całość, odlaną z betonu; był to podówczas nowatorska technologia – wadą materiału był fakt, że beton był niezbrojny – techniki zbrojenia betonu dopiero się rodziły[6]. Większość uzbrojenia znajdowała się w stalowych wieżach pancernych lub kazamatach[7]. Tzw. duże forty miały jedną wieżę z parą armat 150 mm, dwie wieże z dwoma armatami 120 mm, dwie wieże z pojedynczą haubicą 210 mm, 4 wieże z działem 57 mm i 9 takich dział do obrony bliskiej w kaponierach; małe forty miały jedną wieżę z parą armat 150 mm, dwie wieże z pojedynczą armatą 120 mm, jedną wieżę z haubicą 210 mm, 3 wieże z działami 57 mm i 9 tych dział w kaponierach. Obydwa forty były też wyposażone w silny reflektor w wysuwanej, pancernej kopule[8].
Pierścień fortów składał się z:
- Na prawym brzegu Mozeli:
- Fort de Maizeret (mały trapezoidalny, zmodernizowany przed II w. św.); (50°27′49″N 4°59′13″E/50,463611 4,986944)
- Fort d’Andoy (duży trójkątny, zmodernizowany przed II w. św.); (50°26′28″N 4°56′30″E/50,441111 4,941667)
- Fort de Dave (mały trójkątny, zmodernizowany przed II w. św.); (50°25′17″N 4°53′25″E/50,421389 4,890278)
- Na lewym brzegu Mozeli:
- Fort de Saint-Héribert (duży trójkątny, zmodernizowany przed II w. św.); (50°24′45″N 4°49′54″E/50,412500 4,831667)
- Fort de Malonne (mały trapezoidalny, zmodernizowany przed II w. św.); (50°26′40″N 4°48′30″E/50,444444 4,808333)
- Fort de Suarlée (duży trójkątny, zmodernizowany przed II w. św.); (50°29′09″N 4°48′04″E/50,485833 4,801111)
- Fort d’Emines (mały trójkątny, niezmodernizowany); (50°30′24″N 4°51′00″E/50,506667 4,850000)
- Fort de Cognelée (duży trójkątny, niezmodernizowany); (50°31′28″N 4°53′19″E/50,524444 4,888611)
- Fort de Marchovelette (mały trójkątny, zmodernizowany przed II w. św.); (50°30′24″N 4°56′06″E/50,506667 4,935000)
Mały, trapezoidalny fort pancerny (de Maizeret, de Malonne)
Mały, trójkątny fort pancerny (de Dave, d’Emines, de Marchovelette)
Duży fort pancerny (d’Andoy, de Saint-Héribert, de Suarlée, de Cognelée)
W czasie I wojny światowej Namur zostało zdobyte po krótkiej obronie (18–25 sierpnia 1914), w dużej mierze z winy nieodporności niezmodernizowanych fortów na ostrzał ciężkiej niemieckiej artylerii oblężniczej, mającej na stanie m.in. moździerze M-Gerät i Škoda wz. 11[9].
Position fortifiée de Namur
W okresie międzywojennym Belgowie wzmocnili i zmodernizowali swoje fortyfikacje, aczkolwiek region namurski uznany za mniej istotny od Liège uległ mniejszym zmianom. Siedem fortów zostało zmodernizowanych, głównie przez wymianę artylerii w wieżach na nowocześniejszą (de facto przekształcono je w nowoczesne baterie artyleryjskie, wspierające armie polowe dookoła), zwiększeniu liczby karabinów maszynowych, granatników i reflektorów; rozbudowano też polowe pozycje, zwłaszcza dla artylerii przeciwpancernej wokół fortów; poprawiono komunikację, wentylację i warunki bytowe załóg; odporność na ostrzał poprawiono drążąc nowe schrony głęboko pod pierwotnymi strukturami[10].
W czasie II w. światowej, podczas kampanii belgijskiej, Namur było częścią pozycji opóźniającej Kanał Alberta-Liège-Namur, oraz być południowym krańcem głównej linii obronnej Antwerpia-Namur[11]. Bronione przez 7 Korpus Armii Belgijskiej (8 Dywizja Piechoty, 2 Dywizja Strzelców Ardeńskich, francuska 12 Dywizja Piechoty) wypełniło swoje zadania (jako jedyne z belgijskich pozycji umocnionych) powstrzymując niemieckie natarcie[12]; oddziały broniące Namur wycofały się dopiero w obliczu zagrożenia okrążeniem ich od południa przez armię niemiecką, która przebiła się przez Ardeny[13].
Zobacz też
Przypisy
- ↑ Donnell 2007 ↓, s. 8–9.
- ↑ Donnell 2007 ↓, s. 10.
- 1 2 Richou 1902 ↓, s. 15–16.
- ↑ Donnell 2007 ↓, s. 30.
- 1 2 Donnell 2007 ↓, s. 30–31.
- ↑ Donnell 2007 ↓, s. 9.
- ↑ Donnell 2007 ↓, s. 12.
- ↑ Donnell 2007 ↓, s. 16.
- ↑ Donnell 2007 ↓, s. 52.
- ↑ Donnell 2007 ↓, s. 56.
- ↑ BMFA 1941 ↓, s. 32–33.
- ↑ BMFA 1941 ↓, s. 37.
- ↑ BMFA 1941 ↓, s. 39.
Bibliografia
- Clayton Donnell: The Forts of the Meuse in World War I. Oxford: Osprey Publishing, 2007. ISBN 978-1-84603-114-4. (ang.).
- Georges Richou: Construction des forts de la Meuse (têtes de pont de Liége et de Namur): monographie des travaux exécutés par MM. Adrien Hallier, Letellier frères et Jules Baratoux, entrepreneurs de travaux publics. Paris: C. Béranger, 1902. (fr.).
- Belgian Ministry of Foreign Affairs: The Official Account of What Happened 1939-1940. London: Evans Brothers Limited, 1941. (ang.).