Laemophloeus
| Laemophloeus | |
| Dejean, 1835 | |
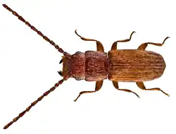
![]() Laemophloeus prominens | |
| Systematyka | |
| Domena | |
|---|---|
| Królestwo | |
| Typ | |
| Gromada | |
| Rząd | |
| Podrząd | |
| Infrarząd | |
| Nadrodzina | |
| Rodzina | |
| Rodzaj |
Laemophloeus |
| Typ nomenklatoryczny | |
|
Cucujus monilis Fabricius, 1787 | |
_(3427274440).png)


_(15494057262).png)
Laemophloeus – rodzaj chrząszczy z rodziny Laemophloeidae. Obejmuje 53 opisane gatunki. Zamieszkują Palearktykę i Amerykę.
Morfologia
Ciało jest silnie spłaszczone grzbietobrzusznie[1]. Głowa jest prognatyczna, o nadustku oddzielonym od czoła wyraźną, poprzeczną bruzdą epistomalną[2][1][3], u nielicznych tylko gatunków zredukowaną[3]. Tył głowy ma zawsze wykształcone żeberka przyoczne[2]. Przednia krawędź nadustka ma pięć wykrojeń[3]. Wierzchołkowa krawędź wargi górnej jest płytko wykrojona[1]. Czułki są długie lub bardzo długie[1], o trzonku pozbawionym sterczącego przednio-bocznie, tęgiego sensillum[3], a nóżce zwykle krótszej niż człon następny[1]. Przedplecze ma boki nierównoległe, zazwyczaj powycinane zatokowo, i najczęściej prostokątny zarys[2]. Po bokach dysku przedplecza znajdują się podłużne wgłębienia (linie sublateralne)[2][1]. Kąty przednie przedplecza nie są wyciągnięte w ząbek[2], występuje natomiast ząbek antebazalny[3]. Pokrywy są błyszczące[2], po bokach zaopatrzone w żeberka. Odnóża mają stopy o członie pierwszym krótszym od przedostatniego[1][3]. U samców stopy ostatniej pary są czteroczłonowe, a u samic pięcioczłonowe niczym stopy par pozostałych u obu płci. Golenie mają w kątach przednio-wierzchołkowych dwie bardzo odmienne pod względem wymiarów ostrogi, z których dłuższa ma silną krzywiznę[3]. Odwłok ma trzeci sternit (pierwszy z widocznych) wyciągnięty ku przodowi w zaostrzony na szczycie wyrostek międzybiodrowy[1][3]. Genitalia samca cechują się obecnością paramer oraz endofallusem zaopatrzonym we falagellum i przynasadowe skleryty[3].
Ekologia i występowanie
Owady te bytują pod korą drzew[1][2].
Przedstawiciele rodzaju rozmieszczeni są w krainach: palearktycznej, nearktycznej i neotropikalnej, przy czym największą różnorodność gatunkową osiągają w tej ostatniej[3]. W Stanach Zjednoczonych stwierdzono występowanie 11 gatunków[1]. Z Europy podawane są cztery gatunki[2], z czego trzy notowane są w Polsce[4], wszystkie jako rzadko spotykane[2] (zobacz: Laemophloeidae Polski).
Taksonomia
Takson ten wprowadził w 1835 roku Pierre F.M.A. Dejean. Cucujus monilis gatunkiem typowy rodzaju wyznaczony został w 1959 roku przez Leonarda P. Lefkovitcha[5][3].
Rodzaj ten obejmuje 53 opisane gatunki[6]:
- Laemophloeus amabilis Olliff, 1885
- Laemophloeus arrowi Grouvelle, 1902
- Laemophloeus biguttatus (Say, 1827)
- Laemophloeus bimaculiflavu s Lea, 1929
- Laemophloeus bistriatus Grouvelle, 1878
- Laemophloeus buenavista Thomas, 2013
- Laemophloeus capitesculptu s Thomas, 2014
- Laemophloeus concinnus Thomas, 2013
- Laemophloeus conterminus Olliff, 1885
- Laemophloeus corporeflavus Thomas, 2014
- Laemophloeus dozieri Thomas, 2014
- Laemophloeus eucalypti Lea, 1904
- Laemophloeus fasciatus (Melsheimer, 1846)
- Laemophloeus frater Grouvelle, 1911
- Laemophloeus fuscolineatus Lea, 1929
- Laemophloeus germaini Grouvelle, 1896
- Laemophloeus howensis Lea, 1929
- Laemophloeus inauditus Grouvelle, 1911
- Laemophloeus incisus Sharp, 1899
- Laemophloeus insignior Blackburn, 1903
- Laemophloeus insignis Grouvelle, 1883
- Laemophloeus insulatestudinorum Thomas, 2014
- Laemophloeus kraussi Ganglbauer, 1897
- Laemophloeus leachi Grouvelle, 1876
- Laemophloeus lecontei Grouvelle, 1876
- Laemophloeus lepidus Grouvelle, 1883
- Laemophloeus lindi Blackburn, 1888
- Laemophloeus macrognathus Reitter, 1876
- Laemophloeus megacephalus Grouvelle, 1876
- Laemophloeus mendax Grouvelle, 1911
- Laemophloeus molestus Grouvelle, 1911
- Laemophloeus monilis (Fabricius, 1787)
- Laemophloeus multipunctatus Grouvelle, 1902
- Laemophloeus murrayensis Blackburn, 1903
- Laemophloeus muticus (Fabricius, 1781)
- Laemophloeus nigricollis Lucas, 1849
- Laemophloeus pallidus Lea, 1904
- Laemophloeus parvulus Grouvelle, 1883
- Laemophloeus pilosus Lea, 1904
- Laemophloeus planaclavatus Thomas, 2014
- Laemophloeus pusulae Blackburn, 1903
- Laemophloeus ramsayi Olliff, 1885
- Laemophloeus regularis Grouvelle, 1902
- Laemophloeus rigidus Olliff, 1885
- Laemophloeus sexarticulatus Kessel, 1926
- Laemophloeus souzalimai Bento, 2021
- Laemophloeus subopacus Lea, 1904
- Laemophloeus subpallidus Grouvelle, 1911
- Laemophloeus taurus Thomas, 2014
- Laemophloeus testaceorufus Lea, 1904
- Laemophloeus tuberculatus Grouvelle, 1877
- Laemophloeus ubiquitosus Lea, 1904
- Laemophloeus victoriae Blackburn, 1903
Przypisy
- 1 2 3 4 5 6 7 8 9 10 Michael C. Thomas, 83. Laemophloeidae Ganglbauer, 1899, [w:] Ross H. Arnett jr. i inni red., American Beetles, Volume II: Polyphaga: Scarabaeoidea through Curculionoidea, CRC Press, Taylor & Francis Group, 2002, s. 316-318.
- 1 2 3 4 5 6 7 8 9 Stanisław Ślipiński, Klucze do oznaczania owadów Polski. Część XIX. Chrząszcze — Coleoptera. Zeszyt 56. Zgniotkowate — Cucujidae, Warszawa, Wrocław: Polskie Towarzystwo Entomologiczne, Państwowe Wydawnictwo Naukowe, 1982.
- 1 2 3 4 5 6 7 8 9 10 11 Michael C. Thomas. A review of New World Laemophloeus Dejean (Coleoptera: Laemophloeidae): 1. Species with antennal club of more than three antennomeres. „Insecta mundi”. 0294, s. 1-23, 2013.
- ↑ R. Ruta: rodzina: Laemophloeidae L. Ganglbauer, 1899. [w:] Biodiversity Map [on-line]. [dostęp 2021-04-06].
- ↑ L.P. Lefkovitch. A revision of European Laemophloeinae (Coleoptera: Cucujidae). „Transactions of the Royal Entomological Society of London”. 111, s. 95-118, 1959.
- ↑ genus Laemophloeus Laporte de Castelnau, 1840. [w:] BioLib.cz [on-line]. [dostęp 2024-11-30].
